All of these recorded at Montague Sand Plains WMA, Franklin County, MA between November 2020 and April 2021.
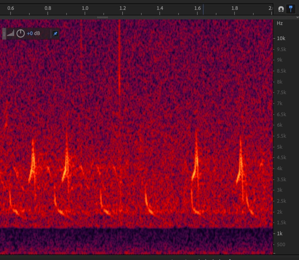
Type 1
Type 1 vs Type 10
20210414_084413 – Quite similar to Type 10, and could be a round-topped variant of type 10, but note that most of the energy in the call comes after the peak, on the downslurred tail, wheres Type 10 has the energy concentrated in the upslurred part before the peak. With more emphasis on the downslurred end sounds a little more like ”kewp-kewp” or ”kyep-kyep” a little different from the most similar Type 10 calls and very different from the high-pointed variants just below

Type 2
20210414_092011 – Typically a fairly straight downslurred note, this call type is a bit longer than others (including Type 1) so it’s easier to hear the downslur.

Type 10
20210414_080302 – the most frequent “typical” type 10 with a relatively low peak, energy concentrated in the rising part before the peak, and a relatively flat ”kip-kip” sound.

Presumed Type 10 variant with higher peak
Birds giving calls like this became more numerous in April, and accounted for a significant percentage of all crossbills present.
20210414_075813 – a fairly common type 10 variant with higher peak and more strongly upslurred sound ”kwip-kwip”

20210414_094512 copy 2 – another with high pointed spectrogram and rising sound, this bird flying with recording 094512 (next), spectrogram less two-parted than that one but the sound is similar. In this spectrogram you can see a few fainter tracings of the more “typical” Type 10 calls, a much shorter A shape.

20210414_094512 – two-parted spectrogram with dry clicking sound, a bird flying with recording 094512 copy 2, spectrogram more two-parted but sound similar. This suggests that the taller variant is produced by adding a higher call on top of the normal Type 10 call.

20210414_084227 – another individual giving dry clicking upslurred calls with two-parted spectrogram, but this one with the lower element of the call mainly a downslur, and quite a different sound. This might be a variant of Type 1, given that the “base” call is a downslurred note with rounded top (like Type 1) and an added higher upslurred note (which must be produced with the other side of the syrinx).

Presumed Type 10 variant resembling Type 8
Birds giving these calls were first noticed on 14 April, with more recorded on 22 April, including a flock of at least ten birds all giving similar calls.
20210414_094002 – a little like type 8?

20210414_083245 – another individual, even more like type 8?

20210422_121449

20210422_112315


